Imagem dominio construtora
Imagem Casima banner central
Imagem di decor
Imagem inove decor
Imagem Madeireira Nacional
Imagem PROJETAL

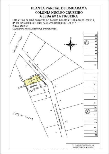
Terreno para venda, Umuarama, 645,50m²

Venda R$ 355.000,00
Código: 22668
Imobiliária: Marcelo
Telefone: (44) 3623-3035
Whatsapp Imobiliária: (44) 99910-1300

Terreno para venda, 645,50m²

Rua Alameda Dos Bandeirantes, Umuarama 645,50m²

 Excelente Terreno Zona III - Umuarama-PR

 LOTE 2-C-1

 Localizado na Rua Alameda dos Bandeirantes

 Próximo ao Clube Português

 Ótima topografia

Sendo: 645,50 Metros Quadrados (16,56m x 47,19m x 12,59m x 42,06m)

Simuladores de Financiamento Imobiliário

Formulário de contato para este imóvel


Imóveis Relacionados